Carrinho
Nenhum item adicionado ao carrinho.
As opções e velocidade de entrega podem variar de acordo com a região
Nenhum item adicionado ao carrinho.

10 Sementes de Solanum paludosum (Jurubeba-roxa)
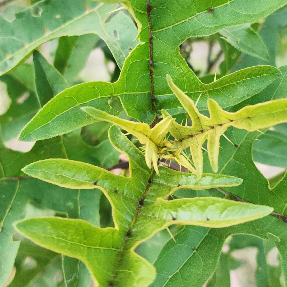
Solanum paludosum é uma espécie botânica pertencente à família Solanaceae.
Essa planta é nativa do Brasil e tem ocorrência registrada principalmente em áreas de vegetação úmida, como brejos, margens de rios e campos alagadiços — daí o nome "paludosum", que vem do latim e significa “dos pântanos” ou “do brejo”.
Trata-se de uma planta herbácea ou subarbustiva que pode alcançar cerca de 1 a 2 metros de altura, com folhas simples e flores tipicamente roxas ou violáceas, como é comum em várias espécies do gênero Solanum.
Seus frutos, geralmente pequenos e arredondados, lembram pequenas bagas, podendo atrair aves e outros animais silvestres.
Apesar de não ser amplamente conhecida fora do meio acadêmico ou botânico, Solanum paludosum é importante do ponto de vista ecológico.
Ela faz parte da rica diversidade de plantas do bioma Cerrado e de ecossistemas associados, ajudando a manter o equilíbrio das comunidades vegetais e a oferecer alimento e abrigo a insetos e outros animais.
Ainda há poucos estudos sobre seus possíveis usos medicinais ou econômicos, mas como muitas outras espécies do gênero Solanum, pode conter compostos bioativos de interesse para a ciência.